Mabel Lake water customers may see interruption of service
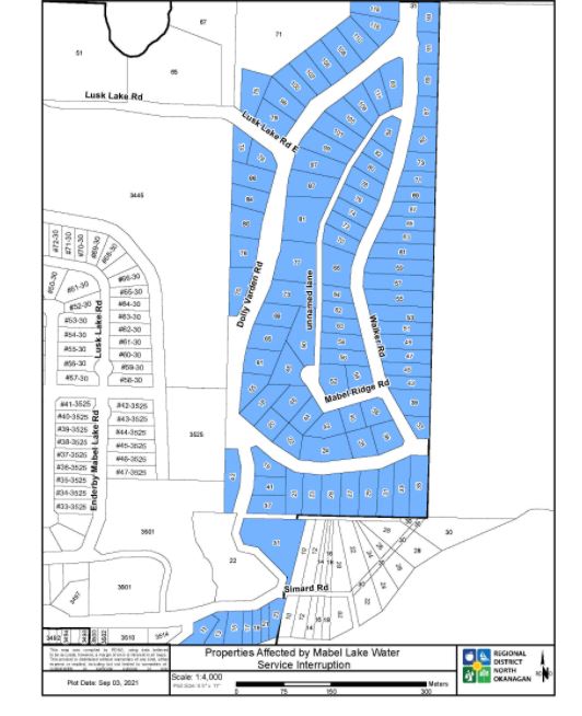
Customers of the Mabel Lake Water Utility (MLW) in the Dolly Varden and Walker Road area are advised that planned leak detection work on Wednesday, March 23 between 9:00 a.m. and 5:00 p.m. may impact water supply and quality.
A map of the affected area is shown below.
(Image credit: RDNO)The Regional District of North Okanagan says a valve replacement project completed last year improved the resilience of the system and lowers the probability that water users will experience cloudiness, air in the water, or temporary loss of water.











