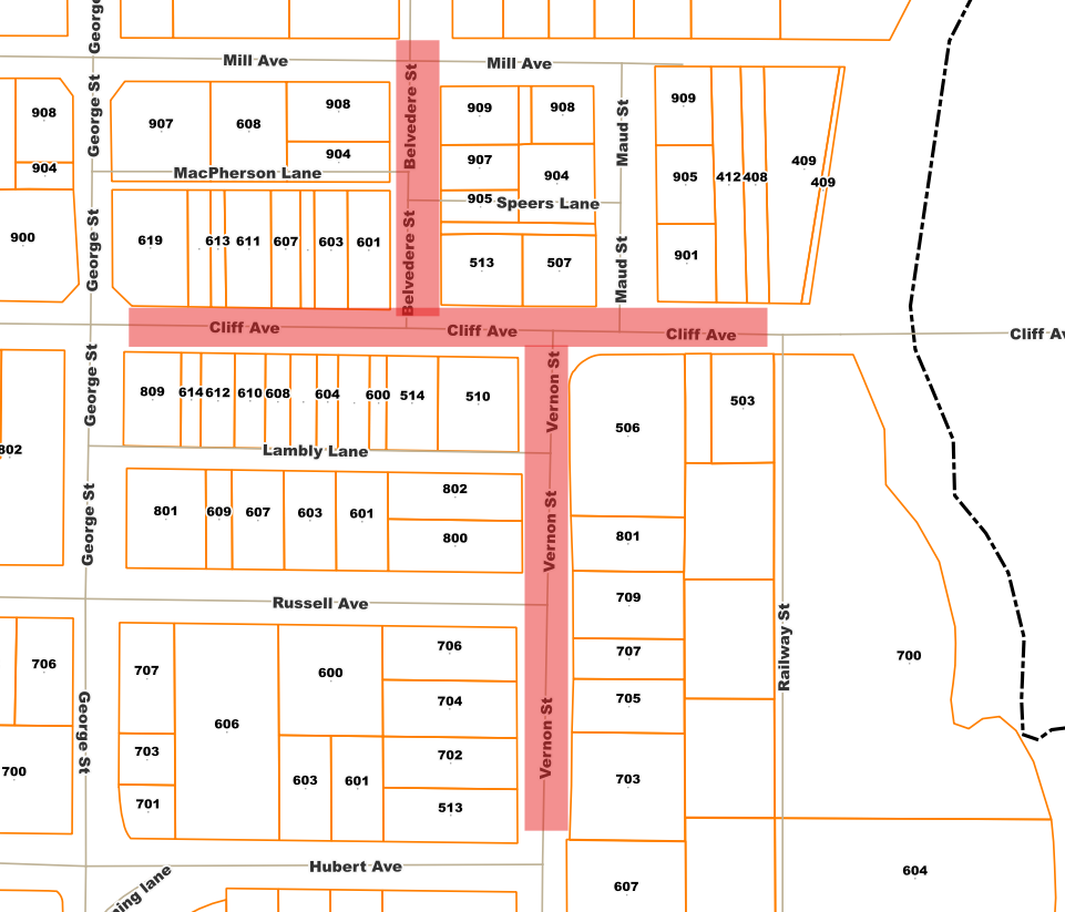
Road closures in Enderby for the filming of a movie (image courtesy of the City of Enderby)
Movie Filming in Enderby
Enderby roads closed for movie shoot
Dec 8, 2025 | 9:43 AM
Some roads in Enderby will be closed Monday for the filming of a movie.
The City of Enderby said the filming would be done sometime December 8 and would require portions of Cliff Avenue and Belvedere Street to be closed to traffic.
“Intersections at Belvedere/Mill and Cliff/Vernon will generally be open except for brief periods of up to five minutes while filming a particular scene is occurring,” the city said in a release.
“At various times, traffic to and from the Bawtree Bridge may be detoured along Railway Street.”












